| TIN LIÊN QUAN | |
| Rạn san hô lớn nhất Australia đối mặt với nguy cơ mới | |
| Hy vọng mới giải cứu rạn san hô lớn nhất thế giới Great Barrier | |
Trong công trình nghiên cứu công bố trên tạp chí Science Advances của Mỹ số ra ngày 1/11, các nhà khoa học đã tiến hành phân tích khả năng thích nghi với thay đổi môi trường của loài san hô Acropora hyacinthus sống ở vùng nước mát, có nhiều ở quần đảo Cook thuộc Thái Bình Dương.
Nghiên cứu dựa trên các mô phỏng máy tính tái hiện khả năng sinh tồn của san hô dưới 4 điều kiện sống với nồng độ khí thải khác nhau trên cơ sở dự báo của Ủy ban Liên chính phủ về biến đổi khí hậu thuộc Liên hợp quốc.
Kết quả cho thấy trong thế kỷ tới, các loài san hô này sẽ chết nếu lượng khí thải không được cắt giảm, hoặc cắt giảm rất ít, và nền nhiệt Trái đất tăng ít nhất 3,7 độ C. Ngoài ra, với những điều kiện sống khắc nghiệt hơn, cụ thể là với nồng độ khí thải gây hiệu ứng nhà kính (RCP) ở mức RCP6.0 và RCP8.5, khả năng thích nghi của san hô sẽ không đủ nhanh để ngăn chặn nguy cơ loài này biến mất.
![]() |
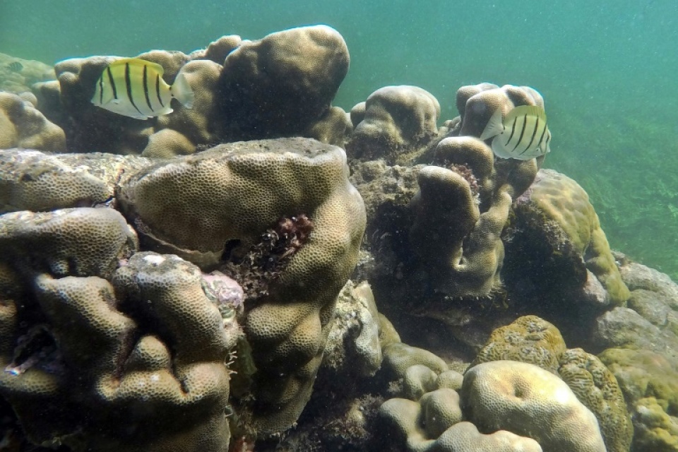
| Khả năng duy trì sự sống của san hô phụ thuộc vào nỗ lực cắt giảm lượng khí thải gây hiệu ứng nhà kính của con người. (Nguồn: AFP) |
Tuy nhiên, với viễn cảnh nhiệt độ Trái đất không tăng quá 2 độ C vào năm 2100, và nếu lượng khí thải tăng trong vài thập kỷ nhưng sau đó giảm vào năm 2040, san hô sẽ có khả năng chịu đựng và sống sót.
Theo các nhà khoa học, một số loài san hô có các gien chịu nhiệt giúp thích nghi một cách tự nhiên với các thay đổi nhiệt độ. Tuy nhiên, các nhà nghiên cứu cũng nhận thấy khả năng sinh tồn của san hô là có hạn. Trưởng nhóm nghiên cứu trên, nhà khoa học Rachael Bay đến từ Đại học California, nhấn mạnh để duy trì sự sống của các loài san hô này cần cắt giảm lượng khí thải gây hiệu ứng nhà kính.
Tuy nhiên, giới chuyên gia cho rằng cần tiến hành thêm nhiều nghiên cứu về khả năng thích nghi của các loài san hô khác đối với viễn cảnh Trái đất nóng lên.
Các rạn san hô giúp bảo vệ các bờ biển, thúc đẩy du lịch biển và mang về giá trị kinh tế toàn cầu ước tính 375 tỷ USD/năm. Tuy nhiên, tình trạng biến đổi khí hậu, ô nhiễm môi trường, các cơn bão biển và hiện tượng hóa trắng (chết) đang đe dọa số lượng san hô trên toàn thế giới.
Giới khoa học cảnh báo 90% các rạn san hô trên thế giới có nguy cơ biến mất vào giữa thế kỷ này.
| Bảo tồn rạn san hô Không phải tất cả các rạn san hô trên thế giới đều ở trong tình trạng xấu. Một số đang phát triển tốt nhờ sự ... |
| Axit trong nước biển đang phá hủy các rạn san hô Các nhà khoa học Mỹ vừa công bố nghiên cứu cho thấy, nước biển, do bị axit hóa bởi sự nóng lên toàn cầu, đang ... |
| San hô bạc trắng vì biến đổi khí hậu Một khảo sát từ trên không cho thấy rạn san hô Great Barrier Reef đã bị bạc màu nghiêm trọng do biến đổi khí hậu. |
